Featured
Last news
West Ham's Zouma apologises for abusing cat in shocking online video
West Ham and France defender Kurt Zouma has apologised after a disturbing video surfaced of him kicking and slapping a cat, with the Premier League club publicly condemning the footage.
Burkina prosecutors seek 30 years for ex-leader Compaore over Sankara murder
Military prosecutors on Tuesday called for a 30-year jail term against Burkina Faso's former president Blaise Compaore for the 1987 murder of his predecessor, revolutionary leader Thomas Sankara.
Ex-pope Benedict XVI asks for forgiveness over abuse scandal
Ex-pope Benedict XVI asked for forgiveness Tuesday for clerical child sex abuse committed on his watch, but aides rejected allegations of a cover-up while he was archbishop of Munich.
Indonesian croc freed after five years trapped in tyre
A wild crocodile in Indonesia who was trapped in a tyre for more than five years has been rescued, freed from its rubber vice and released back into the wild, officials and residents said Tuesday.
Australia 'denied access' to citizen detained in Hong Kong
Australia has for the last year been denied access to a citizen arrested in Hong Kong, diplomats revealed Tuesday, the latest case to be prosecuted under the city's far-reaching national security law.
American lawyer jailed again for assaulting Hong Kong police
An American lawyer working in Hong Kong lost his appeal Tuesday and was jailed for assaulting a plainclothes policeman when he intervened in a confrontation between the officer and members of the public three years ago.
Iran 'jail restaurant' aims to free bad debt inmates
Two Iranian ex-prisoners have opened a successful "jail restaurant" to help raise funds to free convicts languishing behind bars for unpaid debts.
In Venezuela, newspaper HQ handed to govt official
A Venezuelan court has officially handed over the headquarters of the newspaper El Nacional to Diosdado Cabello, widely seen as the government's number-two man.
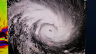
Humanitarian crisis feared as cyclone kills 21 in Madagascar
Cyclone Batsirai swept out of Madagascar on Monday after killing 21 people, displacing 70,000 and devastating the drought-hit island's agricultural heartland, leading the UN to warn of a worsening humanitarian crisis.
Spirit to merge with Frontier, creating major low-cost US airline
Budget US carriers Spirit and Frontier announced Monday they will merge to create a competitive low-cost airline, in an industry "shake up" they say aims to challenge the dominance of larger rivals.
Morocco buries little Rayan who died trapped in well
Moroccans on Monday attended the funeral of Rayan, a five-year-old boy who spent five days trapped down a well, sparking a vast rescue operation that gripped the world but ended in tragedy.
Sweden's PriceRunner sues Google for 2.1 bn euros
Swedish price comparison site PriceRunner said Monday it was suing tech giant Google for 2.1 billion euros ($2.4 billion) for promoting its own shopping comparisons in search results.
New report alleges widespread Pegasus spying by Israel police
Police used Pegasus spyware to hack phones of dozens of prominent Israelis, including a son of former premier Benjamin Netanyahu, activists and senior government officials, an Israeli newspaper reported Monday.
Original 'Fight Club' ending restored in China after online backlash
The original, iconic ending of cult US film Fight Club has been restored to screens in China after a censored version that brought all criminals to book sparked outrage online.
Indonesia bus crash kills 13, injures dozens
At least 13 people were killed and dozens more injured after a tour bus carrying factory workers to a beach holiday crashed on Indonesia's Java island, according to police.
Morocco to bury 'little Rayan' who died trapped in well
Morocco prepared Monday to bury "little Rayan", the five-year-old boy who died trapped in a well despite a days-long rescue operation that gripped the world.
Ecuador capital flooding toll raised to 28
The heaviest flooding to hit Ecuador in two decades claimed 28 lives in the capital Quito this week and left 52 people injured, the city's mayor said Sunday.
NY's Queens borough offers a world of flavors, even amid pandemic
Across ethnically rich New York, you can easily dine on food from 100-plus countries. Or you can just go to the borough of Queens, where an incredibly diverse food scene is thriving even in these pandemic days.
Iraq presidential vote in question after boycotts, court ruling
Doubts hung Sunday over a scheduled parliamentary vote for Iraq's president after the Supreme Court temporarily suspended former foreign minister Hoshyar Zebari, a frontrunner for the post, and leading parliamentary factions announced a boycott.
Cyclone Batsirai kills 10, displaces nearly 48,000 in Madagascar
Cyclone Batsirai killed at least 10 people and displaced nearly 48,000 when it struck Madagascar overnight, the national disaster management agency said on Sunday.
US-born Chinese skater savaged online after Olympics blunder
China appeared Sunday to censor an outpouring of social media vitriol against a naturalised US-born figure skater who took a tumble at the Beijing Games and nearly cost the hosts dear.
'Act of arson' at S.Africa church where Tutu is buried
A fire started by an arsonist broke out overnight at the cathedral where South Africa's spiritual father and anti-apartheid hero Archbishop Desmond Tutu is buried, a church leader announced Sunday.
Tunisian president dissolves top judicial watchdog, accuses it of bias
Tunisian President Kais Saied has dissolved a major independent judicial watchdog, he said Sunday, accusing it of bias and working for special interests.
Morocco in shock after tragic death of 'little Rayan'
Morocco was in shock Sunday after emergency crews found a five-year-old boy dead at the bottom of a well in a tragic end to a painstaking five-day rescue operation that gripped the nation and the world.
'Golden Dream' turns into nightmare for German port town
The unfinished "Golden Dream" rests quietly in a dock as the Covid-19 pandemic has turned the cruise ship into a nightmare for the shipyard in Wismar along Germany's windswept Baltic coast.
Australia urges Myanmar to free detained economist
Australia's foreign minister called Sunday for the "immediate release" of economist Sean Turnell, who has been detained by Myanmar's military junta for the past year.
Honduran president grants amnesty to husband's allies
Honduras' new president, leftist Xiomara Castro, who came to power promising to fight corruption, granted amnesty Saturday to many officials who served in her husband's government more than a decade ago.
UN's Guterres says expects China to let rights chief visit Xinjiang
UN Secretary-General Antonio Guterres told leaders in Beijing he expects them to allow UN human rights chief Michelle Bachelet to make a "credible" visit to China including a stop in the troubled Xinjiang region, his spokesman said Saturday.
Cyclone Batsirai closes in on eastern Madagascar
As powerful Cyclone Batsirai closed in on eastern Madagascar on Saturday people sought shelter in more secure concrete buildings while others reinforced their roofs with large sandbags.
Rescuers enter tunnel to free Moroccan boy trapped in well
Morocco held its breath as rescue workers on Saturday entered a tunnel leading to a pocket where a five-year-old boy has been trapped for days after falling into a well, AFP correspondents said.
Covid vaccination compulsory in Austria, in EU first
It's official: Austrians over the age of 18 must be vaccinated against Covid-19 from Saturday or face the possibility of a heavy fine, an unprecedented measure in the European Union.
Increasing urgency over fate of Moroccan boy stuck days in well
Moroccan rescuers worked through the night into Saturday, the fifth day of an increasingly urgent and nerve-wracking effort to rescue Rayan, a five-year-old boy trapped underground in a well.